Showdown Looming Over Proposed Blackstone Boulevard Development
Kate Nagle, GoLocal Contributor
Showdown Looming Over Proposed Blackstone Boulevard Development
Photo: Change.orgBackers of a proposed development on a historic property on the East Side of Providence next to Blackstone Boulevard are squaring off against neighbors opposed to the project -- and the battle involves some well-connected political donors and appointees.
Property currently owned by Paula and Leonard Granoff at 460-440 Rochambeau Avenue -- a combined three and a half acre plot -- is on the market for $4.9 million with Residential Properties, which lists Jim DeRentis as one of the agents. DeRentis is the husband of former Mayoral candidate Brett Smiley, who has been tapped by Providence Mayor-elect Jorge Elorza to be his Chief Operating Officer -- and Residential Properties founder and owner Sally Lapides was appointed to Elorza's transition team.
The plan to parcel up the property into twelve lots has drawn pushback from a number of neighbors, who have spearheaded community meetings and a change.org petition to appeal to the Providence Preservation Society (PPS) "to show strong leadership and set a standard for the appropriate development of 440-460 Rochambeau that will enhance rather than diminish the community's social and physical infrastructure."
"We've been getting phone calls daily. We're in the middle of drafting a statement about the proposal," said the PPS' Paul Wackrow, who noted their role was solely in advisory capacity. "The Bridgham Estate is on the National Register of Historic Places. That doesn't affect zoning or planning, however."
The Providence Planning Department has already recommended the plan for approval. Now, the City Plan Commission meeting this coming Tuesday, November 18, to consider the plan -- and opponents are looking to stop it from moving forward.
Neighbors Ramping Up Opposition
A rendering of the subdivided plots.Sharon Steele, one of the residents opposed, said she'd never seen the surrounding community take action in the magnitude it has over the proposed plan.
"The importance of this decision being made by the planning department, what has galvanized the community -- I've never seen a group mobilize together as quickly, to get 100, 125 people to come together for a cause," said Steele, who is a real estate broker and consultant. "There is an underlying angst as to what has been happening in the neighborhood, where isolated lots have been sold, and due to the intersection of greedy developers and greedy sellers, it has caused the building of houses that have shouldn't have been allowed to be built."
"You take that, combined with the underlying fabric of what this property has historically been -- and superimpose this irresponsible plan, and there's an attitude that it's alright to do it, and 'we don't care what you think' - that's the way this whole process was thrust upon us," said Steele. "The takeaway is we're trying to show what engaged and enlightened neighbors can and will do."
DeRentis said Thursday that the proposal that allows for the potential of up to 12 lots set on 3.6 acres of grounds was moving according to plan.
"The way the process works -- there was an application filed by the owners in September to allow for the subdivision of the property, which they can do under the current zoning -- that's what the planning department has approved, and now it's going before the commission," said DeRentis.
Of the opposition in the community, DeRentis said, "There is no unified group, just a lot of discussions, innuendo, and posturing. The owners of the property have filed the plan as submitted, that's what's going before the planning."
Campaign finance records with the Board of Elections show that DeRentis has given $2750 to Mayor Angel Taveras and $2000 to Smiley in his failed Mayoral bid; co-listing agent Nancy Markham had given $1500 to Smiley; and Lapides had given $3000 to Taveras, $1000 to Smiley, and $1000 to Elorza.
Next Steps
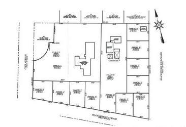
From the Providence City Planning Commission meeting materials from October 21.Providence City Councilman Sam Zurier, whose district the property is in, said he "had concerns" about the proposal, but that the decision would ultimately be up to the planning commission.
"I went to both public meetings so far, I went to another meeting as well," said Zurier. "At that point, there were some efforts to negotiate some type of resolution -- neighbors proposed larger lots, the preservation of the stone wall, an interior road. That reached an impasse however."
"The conclusion to draw is that everyone will put their case before the planning commission and see what they come up with," said Zurier of the upcoming meeting on Tuesday. "The neighborhood group announced they retained an attorney."
When asked what the neighborhood group would do next if the commission approved the plan on Tuesday, Steele said, "I would be extraordinarily surprised to see if it gets a green light."
10 Questions Elorza Has to Answer as Mayor
Department staffing?
Economic Development. Chief of Staff. Policy Director. Who will Elorza place in these key posts? Will former opponent Brett Smiley play a role? Will Elorza keep on any key Taveras staffers?
There are multiple questions in this category, and Elorza should be making moves shortly as to what his administration will look like. Will former opponent Michael Solomon be part of the team? Look to see.
Budget deficit?
Opponent Buddy Cianci famously said during the campaign that if there was a budget surplus in the City of Providence, he'd drop out of the race.
Councilman Terry Hassett told GoLocal that a close watch on the budget would be necessary in the coming year, as a "deficit exists." So how will Elorza tackle the fiscal challenge? He's talked about looking at city government department by department. Where will he make cuts if necessary? Or will Providence see taxes being raised?
Police force?
The Providence Police Department recently graduated a new class of officers from its academy -- but council members to community leaders are pointing out the numbers are still below even minimum staffing levels.
Will Elorza look to push through a new academy when he takes office?And how will he handle issues surrounding the department -- which following the most recent graduation, was at the center of intense public scrutiny?
Car Tax Changes?
Elorza said during the campaign that he wants to raise the car tax exemption from where it stands at $1,000 back to where it once was at $6,000.
So how's he going to make this happen? He teamed with Raimondo at the Olneyville press conference to pledge that if elected they would work in tandem make it possible. Will Providence see more aid from the state to fill the tax revenue hole?
Tax Breaks?
Tax stabilization agreements (TSAs) between developers and the City of Providence came under close scrutiny in 2014, as a report from City Auditor Matt Clarkin showed that the city wasn't collecting nearly what it was owed on the properties that cut special tax deals with the city in the name of development and job creation.
One council member -- Sabina Matos -- proposed putting a freeze on new TSAs until a full review was done, and a standardized process was put in place. Will Elorza continue to use TSAs as a tool in the economic toolbox?
195 development?
The 195 land, while in the hands of the State -- and 195 Commission, rests squarely in Providence, and as such, its redevelopment will have a profound impact on the economic future of the city.
How active will Elorza be in the process of courting businesses to put their stake in the ground and be part of the urban renewal process in Providence? Lots of work is already underway with the roads and infrastructure -- how soon will shovels be the ground for tenants?
Nonprofit relations?
As part of his administration, Mayor Angel Taveras ushered through historic PILOT (payment-lieu-of-taxes) agreements with the city's nonprofits, in order to obtain some fiscal relief from the tax-exempt institutions at t time when the city desperately needed it.
Will Mayor Elorza look to go back to the colleges, universities, and hospitals should the city find itself in difficult circumstances once again?
Jobs?
Elorza's jobs plan as proposed during the campaign included such components a supporting entrepreneurs, women, and minority-owned businesses, and promoting a mentoring program with the city's colleges and universities.
One of Elorza's proposals included the doubling of Providence's exports over the next five years. How is Elorza going to make this happen? He mentioned used cars and design exports during debates on the campaign trail. What policy moves will Elorza unveil to make this prophecy a reality? And where will Providence see the jobs?
School success?
Central to Elorza's education plan is the concept of community schools, so that the buildings are utilized long after the school day for increased learning and recreation opportunities for the surrounding neighborhoods.
Elorza has called for less emphasis on standardized learning, and has proposed an investment in technology in the classrooms. Where will Elorza find the money to achieve these goals -- and will they translate into academic success?
One Providence?
In the next two weeks, Elorza will be making staffing decisions that will set the tone for the new administration. Elorza won overwhelmingly on the East Side -- will he cull his talent from the 02906, or will he reach out to leaders across the city to comprise an administration reflective of the entire city's population? How will Elorza achieve the vision of "One Providence?"
Enjoy this post? Share it with others.
Translation service unavailable. Please try again later.